
Photo Sources: US Weather Service Guam, National Oceanic and Atmospheric Administration, U.S. Embassy Kolonia
By Christopher Cottrell
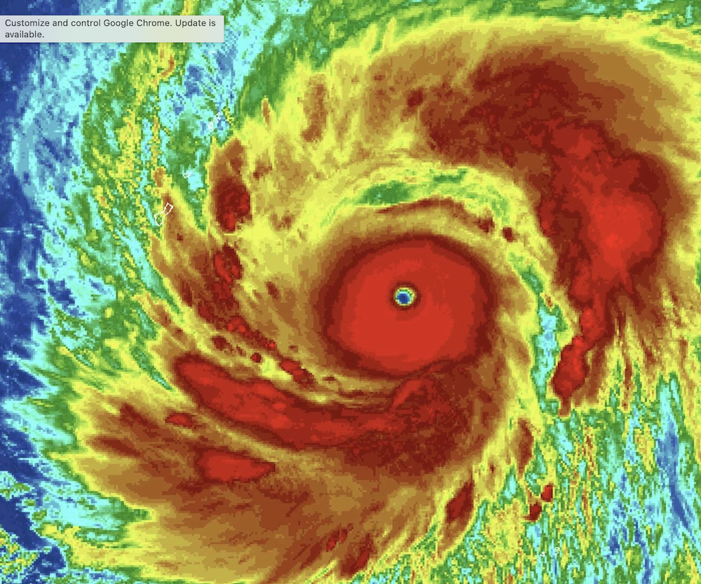
April 13, 2026, Federated States of Micronesia___President Simina has declared a State of Emergency for Chuuk State in the aftermath of Category 5 Super Typhoon Sinlaku, which is now headed towards Guam and the Commonwealth of the Northern Mariana Islands (CNMI) over the coming hours with winds of 30 to 40 miles per hour starting to be felt as of 4pm today (GMT+10).
According to a statement posted Monday evening by the Office of the President, Federated States of Micronesia, “The National Disaster Committee has since been activated and met with key partners this afternoon to align and coordinate ongoing relief efforts, and will continue to work in close coordination with its state counterparts to ensure a unified, timely, and effective response across all affected areas.”
It adds, “The declaration enables the mobilization of national resources to support relief, recovery operations, activate disaster response funding, and strengthens coordination between national and state agencies to safeguard lives and property.”
According to reports from the Government of Chuuk State and the US National Weather Service Guam, Chuuk islands of Fananu and Ulul were lashed by high winds and waves, storm surges, and some road flooding, with schools closed, and hazard warnings to not go into the ocean. Emergency workers are still assessing the damage, with the US Coast Guard Micronesia Guam issuing this warning.
Pohnpei saw heavy showers, but these will dissipate as Sinlaku moves further north. Yap witnessed wind changes of northerly to westerlies winds and high seas. There are no reports of injuries or mortalities so far.
CNMI’s islands of Rota, Tinian and Saipan are in its current path, with shelters open on Monday. They could face winds as high as 180-miles per hour, making this stronger than the Category 4 Typhoon Mawar that battered Guam and the region in 2023.


US Coast Guard Ready to Support
Whilst the Federated States of Micronesia has escaped the worst of Sinlaku’s wrath, steady coordinated US Coast Guard (USCGC) and multi-agency rescue crews from the U.S. Navy and others are on standby, bolstered by last week’s Easter rescue and 29-day Operation Rematau.
Last week’s Easter mission that saved a family from Fananu Island in Chuuk State was extensive, involving the U.S. Coast Guard Joint Rescue Sub-Center Guam at U.S. Coast Guard Forces Micronesia/Sector Guam, U.S. Coast Guard District Oceania and Air Station Barbers Point personnel, “with a HC-130 Hercules airplane and crew from Hawai’i to support the search and directed the launch of the USCGC Frederick Hatch (WPC 1143) crew from Guam.”
On the night of April 6, the USCGC Midgett spotted a 23-fooot single-outboard skiff with two men and a woman in Chuuk’s waters. They had left Fananu on March 30 heading to Murillo Island, but the engine broke and their were cut adrift without communication in 14,000 square nautical miles in rough seas with 10-foot-high waves.

U.S. Ambassador to the Federated States of Micronesia, Jennifer Johnson, commented, “Our U.S. Coast Guard colleagues’ swift and courageous actions in this successful search and rescue mission not only reflect the highest standards of professionalism and humanity but also reinforce the deep and enduring partnership between the United States and the Federated States of Micronesia.”
Capt. Brian Whisler, commanding officer of Midgett, said, “National Security Cutter crews spend most of their time executing maritime law enforcement missions, often with our international partners.”
He added, “SAR [Search And Rescue] cases like this one are not routine for our platform. Our bridge watchstanders spotted the small skiff in rough seas just after midnight, and that kind of situational awareness does not happen by accident. It is what this crew trains for, and I could not be prouder of how they performed.”
Lt. Cmdr. Derek Wallin, the U.S. Coast Guard search and rescue mission coordinator, said, “Without the Midgett’s proximity, coordinating a search across more than 14,000 square nautical miles of open ocean would have required significantly more time and resources. Time the three missing people may not have had.”
Operation Rematau
Moreover, more are immediately prepared for typhoons like Sinlaku, thanks to the recent USCGC Oliver Henry (WPC 1140) 29-day, March 2026 Operation Rematau, a life-saving and law-enforcement mission in the waters of the Commonwealth of the Northern Mariana Islands, Guam, and the Federated States of Micronesia.
In the bigger picture, “Operation Rematau is the U.S. Coast Guard’s sustained operational presence across the Freely Associated States of the Pacific, the Federated States of Micronesia, the Republic of the Marshall Islands, and the Republic of Palau. The operation reflects U.S. commitments under the Compacts of Free Association and advances a secure, open, and prosperous Pacific,” according to a statement from USCGC.
Across March, the crew of the USCGC Oliver Henry (WPC 1140) installed an early tsunami warning station in remote Kapingamarangi Atoll, as well as delivered 3,000 pounds of humanitarian supplies there and at Kuttu Atoll. They also conducted maritime law enforcement over 4,000 nautical miles.

With increased violent weather and raging seas, the US National Weather forecasts increased chances of El Niño–Southern Oscillation (ENSO) activities from June. This makes island communication and fortifying against the worst weather key. Sinlaku right now is being called “the strongest storm on the planet.” In Micronesia, there are worries that Sinlaku will be an opening salvo to a season of successive strong storms.
Micronesia Sun Bright News from the Deep Pacific