Photo Sources: Office of the President, Republic of Palau, Saudi Fund for Development, United Airlines By Christopher Cottrell April 15, 2026, Palau___ From France to New Zealand to Saudi Arabia, the rearview mirror and forward business posture of Palau at Mid-April 2026 shows full steam ahead towards the 55th Pacific Islands Forum Leaders Meeting from August 30 to September 4, …
Read More »Super Typhoon Sinlaku State of Emergency Declared for Chuuk as storm heads to Marianas
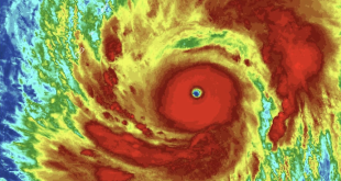
Photo Sources: US Weather Service Guam, National Oceanic and Atmospheric Administration, U.S. Embassy Kolonia By Christopher Cottrell April 13, 2026, Federated States of Micronesia___President Simina has declared a State of Emergency for Chuuk State in the aftermath of Category 5 Super Typhoon Sinlaku, which is now headed towards Guam and the Commonwealth of the Northern Mariana Islands (CNMI) over the …
Read More »Tropical Depression Weather Alert: U.S. Embassy Kolonia, Federated States of Micronesia (April 9, 2026)
U.S. Mission Kolonia, Federated States of Micronesia has just issued a Weather Alert April 9, 2026. “The National Weather Service and Joint Typhoon Warning Center have issued an alert for Tropical Depression 04W in FSM, which could become a tropical storm and then typhoon. The storm is near Weno and heading west. Islands north and west of Weno, including the …
Read More »
Micronesia Sun Bright News from the Deep Pacific